Tiefe: 4 – 30m Tiefe
Geeignet für: Anfänger und erfahrene Taucher (aufgrund der Tiefe und möglicher Strömung)

Sehr zerklüftetes Riff mit Steilwand, einer kleinen Höhle und ordentlich Felsspalten, einzelne Felsen und Gesteinsbrocken, die man super für die natürliche Navigation benutzen kann.


Der Einstieg erfolgt über eine Stahl- (empfohlen) oder Betontreppe, die Fußläufig ca. 1 Minute von der Basis entfernt ist.
Bei heftigem Schwell Tiefwasser Einstieg (großer Schritt vorwärts) und Ausstieg über Leitern. Da wird einem dann geholfen.
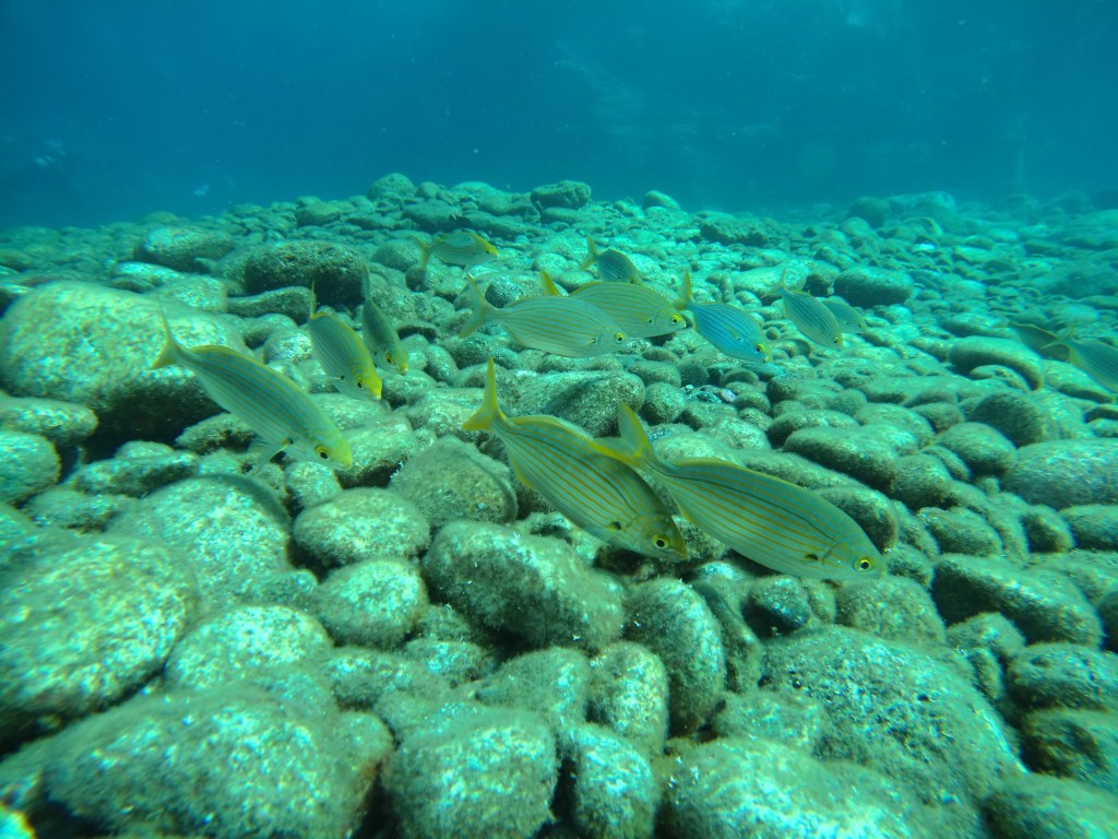
Ab da sollte man unbedingt die Augen offen halten. Es versteckt sich der ein oder andere Oktopus. Im Freiwasser sind Sardinien und Brassen zu sehen. An den Korallen und Felsen knabbern wunderschöne rote Papageienfische.

An den ‚Lava Fingern‘ sind immer Trompetenfische und Triggerfish zufinden. Ab ca 20 Meter hat man dann rechts vom Riff eine Sandfläche wo man immer Röhrenaale findet.

Ein großer Zackenbarsch lässt sich auch öfter blicken, der sicher über 80 cm misst und definitiv keine Angst vor Tauchern hat. Dieser posiert förmlich vor der Kamera!

Ein Tauchplatz, den man öfter betauchen kann, ohne das einem langweilig wird!

Wunderschöne Krabben 🦀 findet man oberhalb des Wassers und wer genau hinsieht entdeckt in den Seepocken auch die winzig kleinen Bewohner.

Oh ja, das Hausriff dort haben wir damals mit unseren Ablegern sehr gerne betaucht.
LikeLike
Super praktisch, direkt vor der Basis so viele Tauchplätze zu haben!
LikeGefällt 1 Person
Maravillosas propuestas para el buceo, los paisajes marinos y formaciones coralinas son bendiciones de Dios. Afortunado aquellos que puedan disfrutarlos.
LikeLike
Absolutamente, mi amigo!
LikeLike